The City of Clarence-Rockland Planning Committee reviews applications for Official Plan and Zoning By-law amendments. It also reviews subdivision applications and comments on policies, standards and studies, among others.
The Committee is composed of three members of city Council and two members of the community.
- Meetings shall be held at 7:00 pm on the last Wednesday of every month, except for the month of December, where it shall be held on the Third Wednesday.
The public is welcome to attend Planning Committee meetings.
Go to our Council Meeting Calendar to learn the dates of the next meetings.
Membership:
The Planning Committee shall consist of three members of Council and two member of the community. All appointments to the committee shall be for a term of one year, beginning on December 1st and ending on November 30th. The term may be extended at the discretion of the Mayor.
Committee Role:
The primary role of the committee is to review official plan and zoning by-law amendment applications. The secondary role is to provide guidance and input on planning policies, subdivision applications, planning standards and special planning studies.
Responsibilities:
To review and provide recommendations to the Council on land development regulations and policy and specific land development applications, including, but not limited to, the following:
- Official plan;
- Zoning by-law;
- Subdivision plans;
- Planning studies
- Other matters referred to the Committee by Council, the department head, and/or the Chief Administrative Officer
Meetings:
Meetings shall be held at 7:00 pm on the first Wednesday of each month except in the month of July where there will be no meeting. In the month of January, the meeting shall be held on the second Wednesday of the month.
Support Staff:
The Clerk shall be responsible to provide administrative support staff to assist in the preparation of the agendas, minutes and recommendations of the Committee.
Reporting:
The Planning Committee shall submit its recommendations in the form of a written report to Council at a Council meeting for consideration.
The City of Clarence-Rockland is conducting its Planning Committee meetings virtually through Zoom.
How to watch a meeting
If you intend to listen and follow the meeting you must complete this request form and a link to the Zoom meeting will be sent to you or call the Community Development Department at (613) 446-6022, ext: 2285. Requests must be submitted no later than 4:30 p.m. two days prior to the meeting date. Please note that you will not be allowed to speak at the meeting if this option is chosen.
How to provide comments to the Committee
1- Submit comments in writing
- Sending an email with your comments. Written submissions must be emailed to zoning_zonage@clarence-rockland.com no later than 4:30 pm two days prior to the meeting date.
- Submitting comments in the dropbox located outside the door at City Hall, 1560 Laurier Street in Rockland. The letter must be addressed to the Community Development Department and must be submitted the Friday before the meeting date.
- Submitting comments via regular mail. The letter must be sent to 1560 Laurier Street, Rockland, ON, K4K 1P7, to the attention of the Community Development Department and must be received the Friday before the meeting date.
2- Participating in public virtual meeting by telephone or computer/smartphone/tablet via Zoom.
If you intend to make a presentation or make oral comments at the meeting you must complete a delegation request form or or call the Community Development Department at (613) 446-6022, ext: 2285. Requests must be submitted no later than 4:30 p.m. two days prior to the meeting date.
Once we receive your delegation request, we will confirm your attendance and provide you with the instructions for participating in the public meeting.
Information you choose to disclose in your correspondence will be used to receive your views on the relevant issue(s) to enable the Committee to make its decision on this matter. This information will become part of the public record.
If you do not participate in the public Zoom meeting or express your views in writing, the Committee may make a recommendation in your absence and may recommend changes to the proposal.
Meeting procedures
- The applicant/agent will speak first and will have 10 minutes to make their presentation.
- Registered participants will be invited to speak after the applicant’s initial presentation. Each speaker will be given five minutes and one opportunity to address the committee, so please focus your comments as follows:
- Clearly state your name and address.
- Explain how the requested amendment or draft plan of subdivision being requested will impact the enjoyment of your property and neighborhood (positively or negatively).
- Ask clear, direct questions.
The decision
- Once all the comments are received, the Chair will bring the matter “into committee” and no further comments will be permitted, unless the
- Chair or a Committee member asks a question
- The Chair and Members will announce their recommendation at the meeting.
- The Committee may defer an application but only if circumstances warrant such action.
- To receive a copy of the Decision, please make a request to the Community Development Department at zoning_zonage@clarence-rockland.com or by calling at (613) 446-6022, ext: 2285 by providing the following: your name, your address, email address, date of meeting, file number and address of the subject property.
Individuals are also encouraged to speak to Planning staff or to submit written correspondence if you have questions or concerns that you wish to share.
Next meeting : December 18th
By-law 2026-XX - AG-33 ZBLA [PDF/153KB]
Planning Rationale D-14-635 [PDF/8.3MB]
TAKE NOTICE THAT the Corporation of the City of Clarence-Rockland will hold a virtual public meeting via ZOOM, on the 18th day of December 2025, at 7:00 p.m. to consider a proposed amendment (File No. D-14-635) to the City of Clarence-Rockland Zoning By-law No. 2016-10. The affected property is described as Part of Lot 13, Concession 2, Civic address 2737 du Lac Road.
THE PROPOSED ZONING BY-LAW AMENDMENT would modify the zoning category of the subject property from Agricultural (AG) Zone to Agricultural – Exception 33 (AG-33) Zone in order to allow the construction of an additional residential unit in an ancillary structure, to increase the maximum permitted height for this unit from 4.0 m to 11.0 m, to increase the combined bedroom limit on the property from 4 to 7, and to establish specific minimum distance separations (MDS) from nearby livestock facilities.
If you wish to be notified of the decision of the Council of the Corporation of the City of Clarence-Rockland on the proposed Zoning By-law Amendment, you must make a written request to the Corporation of the City of Clarence-Rockland, 1560 Laurier Street, Rockland, ON, K4K 1P7.
If a person or public body would otherwise have an ability to appeal the decision of the Municipal Council of the City of Clarence-Rockland to the Ontario Land Tribunal but the person or public body does not make oral submissions at a public meeting or make written submissions to the Corporation of the City of Clarence-Rockland before the by-law is passed, the person or public body is not entitled to appeal the decision.
IF A PERSON or public body does not make oral submissions at a public meeting or make written submissions to the Corporation of the City of Clarence-Rockland before the by-law is passed, the person or public body may not be added as a party to the hearing of an appeal before the Ontario Land Tribunal unless, in the opinion of the Tribunal, there are reasonable grounds to do so.
IF APPLICABLE, the owner of any land that contains seven or more residential units is required to post this notice in a location that is visible to all of the residents.
A NOTE ABOUT INFORMATION YOU MAY SUBMIT TO THE MUNICIPALITY: Under the authority of the Municipal Act, 2001 and in accordance with Ontario's Municipal Freedom of Information and Protection of Privacy Act (MFIPPA), all information provided for, or at a Public Meeting, Public Consultation, or other Public Process are considered part of the public record and will be used to assist in deciding on this matter, including resident deputations. All personal information (as defined by MFIPPA), including (but not limited to) names, addresses, opinions and comments collected will become property of the City of Clarence-Rockland, will be made available for public disclosure (including being posted on the internet) and will be used to assist Council/Committee and staff to process this application.
ADDITIONAL INFORMATION relating to the proposed Zoning By-law Amendment and in regards to the ZOOM meeting is available on the City’s website at the following link www.clarence-rockland.com/planningcommittee/ (see Virtual Meeting Participation Guide) or by communicating with the City by phone or email below. If you wish to participate in the public meeting or just follow along, you must register in advance at least 2 days prior to the meeting date by completing the delegation request form or the attendance request form.
Dated at the City of Clarence-Rockland, this 24th day of November 2025.
Agencies, please send your comments by December 8, 2025.
File D-14-635
From AG to AG-33

Next meeting : January 28th
By-law 2026-XX - R3-64 ZBLA [PDF/205KB]
Zoning By-law Letter D-14-637 [PDF/1.3MB]
TAKE NOTICE THAT the Corporation of the City of Clarence-Rockland will hold a virtual public meeting via ZOOM, on the 28th day of January 2026, at 7:00 p.m. to consider a proposed amendment (File No. D-14-637) to the City of Clarence-Rockland Zoning By-law No. 2016-10. The affected property is as a part of Lots 19, 20 and 21, Concession 1 (Old Survey), Geographic Township of Clarence, now in the City of Clarence-Rockland. The lands are located east of Pago Road and north of County Road 17, within the Clarence Crossing subdivision (East Lands).
THE PROPOSED ZONING BY-LAW AMENDMENT would modify the existing site-specific zoning provisions for the subject property within the R3-64 zone by adding an additional exception to reduce the required landscape strip between a driveway and a side lot line from 1.0 metre to 0.6 metre, consistent with the minimum interior side yard setback for single detached dwellings.
If you wish to be notified of the decision of the Council of the Corporation of the City of Clarence-Rockland on the proposed Zoning By-law Amendment, you must make a written request to the Corporation of the City of Clarence-Rockland, 1560 Laurier Street, Rockland, ON, K4K 1P7.
If a person or public body would otherwise have an ability to appeal the decision of the Municipal Council of the City of Clarence-Rockland to the Ontario Land Tribunal but the person or public body does not make oral submissions at a public meeting or make written submissions to the Corporation of the City of Clarence-Rockland before the by-law is passed, the person or public body is not entitled to appeal the decision.
IF A PERSON or public body does not make oral submissions at a public meeting or make written submissions to the Corporation of the City of Clarence-Rockland before the by-law is passed, the person or public body may not be added as a party to the hearing of an appeal before the Ontario Land Tribunal unless, in the opinion of the Tribunal, there are reasonable grounds to do so.
IF APPLICABLE, the owner of any land that contains seven or more residential units is required to post this notice in a location that is visible to all of the residents.
A NOTE ABOUT INFORMATION YOU MAY SUBMIT TO THE MUNICIPALITY: Under the authority of the Municipal Act, 2001 and in accordance with Ontario's Municipal Freedom of Information and Protection of Privacy Act (MFIPPA), all information provided for, or at a Public Meeting, Public Consultation, or other Public Process are considered part of the public record and will be used to assist in deciding on this matter, including resident deputations. All personal information (as defined by MFIPPA), including (but not limited to) names, addresses, opinions and comments collected will become property of the City of Clarence-Rockland, will be made available for public disclosure (including being posted on the internet) and will be used to assist Council/Committee and staff to process this application.
ADDITIONAL INFORMATION relating to the proposed Zoning By-law Amendment and in regards to the ZOOM meeting is available on the City’s website at the following link www.clarence-rockland.com/planningcommittee/ (see Virtual Meeting Participation Guide) or by communicating with the City by phone or email below. If you wish to participate in the public meeting or just follow along, you must register in advance at least 2 days prior to the meeting date by completing the delegation request form or the attendance request form.
A KEY MAP on the back of this notice is showing the approximate location of the land subject to this application.
Dated at the City of Clarence-Rockland, this 11th day of December 2025.
AGENCIES, please send your comments by January 16, 2026.
File D-14-637

KEY MAP
2564Laurier-PlanningRationale-v.OPA_ZBLA [PDF/1.3MB]
By-law 2026-XX - CA-7 ZBLA [PDF/203KB]
By-law 2026-XX OPA 41 [PDF/73KB]
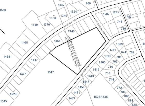
TAKE NOTICE the Corporation of the City of Clarence-Rockland will hold a virtual public meeting on ZOOM, on the 28th day of January 2026, at 7:00 p.m. to consider a proposed amendment (File No. D-09-120) to the Official Plan of the Urban Area of the City of Clarence-Rockland and a proposed amendment (File No. D-14-636) to the City of Clarence-Rockland Zoning By-law No. 2016-10 for the property located at 2564 Laurier Street, Rockland and legally described as Part of Lot 28 and 29, Concession 1 (Old Survey)
THE PROPOSED OFFICIAL PLAN AMENDMENT would modify the land use designation from “Commercial Core Area” to “Commercial Core Area – Exception 1” to permit townhouse dwellings without requiring commercial use at grade.
THE PROPOSED ZONING BY-LAW AMENDMENT would modify the zoning category from “Urban Core Area Zone (CA-3) Zone” to “Urban Core Area – Exception 7 (CA-7) Zone” to permit townhouse dwellings and provide relief from standards related to setbacks, parking, and density.
IF THE PROPOSED AMENDMENTS TO THE OFFICIAL PLAN AND TO THE ZONING BY-LAW are approved and adopted, they will allow the development of six (6) townhouse units with twelve (12) Additional Residential Units, for a total of eighteen (18) dwelling units on the subject property.
The proposed zoning by-law amendment will not come into full force and effect until such time as the related amendment to the Official Plan of the Urban Area of the City of Clarence-Rockland is approved by the United Counties of Prescott & Russell.
IF YOU WISH TO BE NOTIFIED of the adoption of the proposed Zoning By-law Amendment, or of the refusal of the request to amend the Zoning by-law, you must make a written request at the address shown below. If you wish to be notified of the adoption of the proposed Official Plan Amendment, or of the refusal of the request to amend the Official Plan, you must make a written request to the United Counties of Prescott and Russell, 59, Court Street, P.O. Box. 304, L’Orignal, Ontario, K0B 1K0.
IF A PERSON or public body would otherwise have an ability to appeal the decision of the Municipal Council of the City of Clarence-Rockland to the Ontario Land Tribunal but the person or public body does not make oral submissions at a public meeting or make written submissions to the Corporation of the City of Clarence-Rockland before the proposed official plan amendment is adopted or before the by-law is passed, the person or public body is not entitled to appeal the decision.
IF A PERSON or public body does not make oral submissions at a public meeting or make written submissions to the Corporation of the City of Clarence-Rockland before the by-laws are passed, the person or public body may not be added as a party to the hearing of an appeal before the Ontario Land Tribunal unless, in the opinion of the Tribunal, there are reasonable grounds to do so.
IF APPLICABLE, the owner of any land that contains seven or more residential units is required to post this notice in a location that is visible to all of the residents.
A NOTE ABOUT INFORMATION YOU MAY SUBMIT TO THE MUNICIPALITY: Under the authority of the Municipal Act, 2001 and in accordance with Ontario's Municipal Freedom of Information and Protection of Privacy Act (MFIPPA), all information provided for, or at a Public Meeting, Public Consultation, or other Public Process are considered part of the public record and will be used to assist in deciding on this matter, including resident deputations. All personal information (as defined by MFIPPA), including (but not limited to) names, addresses, opinions and comments collected will become property of the City of Clarence-Rockland, will be made available for public disclosure (including being posted on the internet) and will be used to assist Council/Committee and staff to process this application.
A COPY of the proposed official plan amendment, a copy of the proposed Zoning By-law Amendment, additional information and material about these applications and information in regards to the ZOOM meeting is available on the City’s website at the following link: https://www.clarence-rockland.com/en/hotel-de-ville/planning-committee.aspx or by communicating with the Community Development Department.
A KEY MAP on the back of this notice is showing the approximate location of the land subject to this application.
Dated at the City of Clarence-Rockland, this 11th day of December 2025.
AGENCIES, please send your comments by January 16, 2026
KEY MAP

